|
|
(21), (22) Заявка: 2007124506/15, 29.06.2007
(24) Дата начала отсчета срока действия патента:
29.06.2007
(46) Опубликовано: 20.09.2008
(56) Список документов, цитированных в отчете о поиске:
ЕГОРОВА Е.М. и др. Бактерицидные и каталитические свойства стабильных металлических наночастиц в обратных мицеллах. Вестн. Моск. Унта. Сер.2. Химия. 2001. т.42. №5, с.332-338. RU 2147487 С1, 20.04.2000. RU 54811 U1, 27.07.2006. RU 2195473 С1, 27.12.2002. US 6827766 A, 07.12.2004. US 7094503 A, 22.08.2006.
Адрес для переписки:
105064, Москва,ул.Воронцово поле, 10, ФГУП ГНЦ РФ НИФХИ им.Л.Я.Карпова, пат.отдел
|
(72) Автор(ы):
Яровая Марина Станиславовна (RU)
(73) Патентообладатель(и):
Автономная некоммерческая организация “Институт нанотехнологий Международного фонда конверсии” (RU)
|
(54) БИОЦИДНЫЙ РАСТВОР И СПОСОБ ЕГО ПОЛУЧЕНИЯ
(57) Реферат:
Изобретение относится к области медицины. Биоцидный раствор включает наночастицы серебра, поверхностно-активное вещество, воду, неполярный растворитель (в мас.%). Наночастицы серебра распределяются по размерам: частицы размером меньше 4 нм, с размером 4-15 нм и размером выше 15 нм в отношении 1-2:5-20:0,5-1. Способ получения раствора осуществляют путем восстановления ионов серебра в системе обратных мицелл. Готовят мицеллярный раствор поверхностно-активного вещества (ПАВ) в неполярном растворителе с добавлением в него восстанавливающего агента. Водный раствор соли серебра в концентрации от 0,05 до 0,5М предварительно обрабатывают раствором аммиака, затем смешивают растворы. В качестве неполярного растворителя применяют н-гексан, или н-гептан, или н-октан, или н-декан, или циклогексан, или изооктан, в качестве ПАВ выбирают диоктилсульфосукцинат натрия (бис(2-этилгексил) сульфосукцинат натрия), с диапазоном молярной концентрации (М) ПАВ от 0,04 до 0,25; в качестве восстанавливающего агента выбирают вещества из группы флавоноидов, например, кверцетин, с (М) от 4×10-5 до 22×10-5; концентрацию аммиачного раствора выбирают в диапазоне 10-20 мас.%. Изобретение обеспечивает биоцидное действие в широком интервале температур, длительное время. 2 н.п. ф-лы, 8 табл., 3 ил.
Изобретение относится к получению растворов наноструктурных металлических частиц в органических растворителях, обладающих бактерицидными и микробиологическими свойствами и используемых в различных областях медицины, фармакологии, техники и экологии.
Известно, что частицы вещества в диапазоне нанометрового размера 1-100 нм меняют свои химические, физические и биологические свойства, параметры которых имеют важное прикладное значение.
В патенте RU 2259871 описан коллоидный раствор наночастиц металлов, который может быть использован при изготовлении противобактериальных и стерилизующих средств. Коллоидный раствор наночастиц металла получают растворением соли металла и водорастворимого полимера в воде и/или в неводном растворителе, затем реакционную емкость с полученным раствором продувают газообразным азотом или аргоном и облучают радиоактивным излучением. В этом способе восстановителем является сольватированный электрон, генерируемый ионизирующим излучением в растворе. В качестве соли металла можно использовать соль серебра, например нитрат, перхлорат, сульфат или ацетат. Можно также использовать соли металлов никеля, меди, палладия или платины. В качестве полимера берут поливинилпирролидон, сополимеры 1-винилпирролидона с акриловой или винилуксусной кислотами, со стиролом или с виниловым спиртом. В качестве неводного растворителя можно использовать метанол, этанол, изопропиловый спирт или этиленгликоль. Для случая получения эмульсии дополнительно вводят в реакционную емкость поверхностно-активное вещество. Коллоидный раствор стабилен в течение 10 месяцев с сохранением формы частиц и незначительным увеличением их размера. Свежеприготовленный коллоидный раствор содержит наночастицы металла размером не более 8 нм. Вместе с тем известный способ является достаточно сложным и дорогостоящим, так как синтез, с целью предотвращения побочных реакций, проводится в атмосфере инертного газа и с использованием источника ионизирующего излучения.
Известно использование солей серебра в качестве антибактериального средства, эффективность которого увеличивают добавками аммиака.
В патенте RU 2182129 для этого предварительно в отдельной емкости готовят 0,1-1,0%-ный раствор Ag2SO4 или AgNO3, в который при перемешивании вводят газообразный аммиак или аммиачную воду до достижения массового соотношения Ag+:NH3, равного 2,8-3,0, затем полученный раствор аммиачного комплексного соединения серебра при помощи дозатора вводят в обеззараженную предварительно хлором воду до достижения в ней концентрации серебра, равной 0,005-0,05 мг/л. Введение аммиака в растворы солей серебра повышает их растворимость за счет образования комплексных соединений Ag(NH3)2NO3 или [Ag(NH3)2]2SO4. Предложенное массовое соотношение между ионами серебра и аммиаком превосходит приблизительно на 5% стехиометрическое и необходимо для получения максимально стабильного соединения. Аммиачные комплексы серебра обладают высокой бактерицидной активностью при концентрации ионов Ag+ даже ниже, чем их ПДК в воде. Восстановление комплексов происходит медленнее, чем Ag+, следовательно максимальный бактерицидный эффект проявляется в течение большего промежутка времени – до трех месяцев.
Сравнение бактерицидной активности раствора Ag2SO4 и раствора аммиачного комплекса [Ag(NH3)2]2·SO4 показало, что снижение бактерицидной активности раствора Ag2SO4 происходит быстрее, чем раствора [Ag(NH3)2]2·SO4, при этом последний даже через 50 суток теряет всего лишь треть своей активности, что свидетельствует о стабилизирующей роли аммиака. Кроме того, обнаружено, что растворимость соли серебра в аммиачной воде повышается по сравнению с чистой водой.
В патенте RU 2281107 описан бактерицидный раствор на основе ионизированного серебра, который получают с использованием серебряных электродов и водного раствора, содержащего аминокислоту, преимущественно глицин, и аммиак в соотношении компонентов, мас.%: 0,1-5,0 к 0,002-0,055, остальное – вода.
Присутствие аммиака увеличивает рН раствора и, как следствие, повышается бактерицидность композиции, благодаря получению высококонцентрированного раствора ионов серебра, который для получения значительного антибактериального эффекта может быть значительно разбавлен. Значение рН получаемого раствора находится в пределах от 7,9 до 9,2. При необходимости препарат нейтрализуют до рН 6,9-7,1 разбавленной кислотой, например 2%-ной уксусной кислотой.
Необходимо однако отметить, что в вышеприведенных технических решениях речь идет только об ионизированном серебре. В то же время хорошо известно (Патенты RU 2130964, RU 2197270), что бактерицидная активность ионов серебра зависит от качественного состава обеззараживаемой воды и прежде всего от наличия в ней хлоридных и сульфатных анионов, а также органических веществ, связывающих катионы серебра в малоактивные нерастворимые соединения. В этих работах так же отмечается зависимость в сторону снижения дезинфирующей активности ионных растворов серебра при понижении рН и температуры воды.
В последнее время внимание исследователей привлекают серебросодержащие ультрадисперсные и коллоидные системы, обеспечивающие высокую бактерицидную активность во времени [Благитко Е.М. и др. Серебро в медицине. Новосибирск: Наука-центр, 2004, 256 с.].
Известен способ получения наноструктурных металлических частиц путем восстановления ионов металла в водном растворе [Бутенко А.В. и др. Ц.Физ. Д. Атомы, молекулы и кластеры, 1990, т.17, с.283]. В известном способе в качестве восстановителя используют гидразин и водород. Основным недостатком известного способа является малая стабильность получаемых с его помощью наночастиц, из-за чего необходимо использовать органические стабилизаторы, что усложняет структуру частиц, а также затрудняет их практическое применение. Кроме того, получение наноструктурных металлических частиц указанным способом необходимо производить в атмосфере инертного газа или при вакуумировании, что удорожает конечный продукт.
Известны лекарственные бактерицидные препараты на основе неионированного металлического серебра (колларгол, повиаргол) и оксида серебра (протаргол), получаемые химическим методом и стабилизированные гидролизатами казеина (колларгол), гидролизатами желатины (протаргол), поливинилпирролидоном (повиаргол), природным полисахаридом арабиногалактаном. Препараты хранятся в сухом порошкообразном состоянии и используются в виде коллоидных растворов, получаемых после их диспергирования в воде. Повиаргол [Патент РФ №2088234. 1997. БИ №24] – водорастворимая бактерицидная композиция содержит в своем составе нанокластеры нуль-валентного металлического серебра с размерами 2-4 нм. Поли-N-винилпирроолидон-2 выступает в заявленном способе не только как стабилизатор коллоидного серебра, но и как реагент, участвующий в восстановлении за счет своих концевых альдегидных групп. При этом ионное серебро дополнительно восстанавливается до молекулярного действием этилового спирта на ионы серебра, координированные с поли-N-поливинилпирролидоном-2. В отсутствие последнего нитрат серебра не реагирует с этанолом. Препарат легко растворяется в воде с образованием коллоидного раствора, сохраняющего агрегативную устойчивость в течение 2 недель – 6 месяцев. Препарат разрешен к серийному производству и медицинскому применению в качестве бактерицидного средства. Однако способ получения этого средства трудоемок и требует больших энергозатрат, поскольку технология производства предусматривает распылительную сушку, имеет ограничение сырьевой базы, синтетический полимер увеличивает стоимость препарата.
Известно изобретение [Патент RU 2278669], которое состоит в том, что водные растворы солей серебра с содержанием от 0,0011 до 0,40 г (от 0,007 до 2 ммоль) добавляют к водному раствору арабиногалактана при интенсивном перемешивании и оставляют при комнатной температуре в течение 30-90 мин. После этого приливают 30%-ный гидроксид аммония или натрия до рН 10-11. Полученные смеси выдерживают при температуре 20-90°С в течение 5-60 мин. Раствор фильтруют и целевые продукты выделяют высаживанием фильтрата в этанол, осадок отфильтровывают и сушат в вакууме. Содержание серебра в полученных образцах, определенное методом атомно-абсорбционного анализа, в зависимости от условий реакции варьируется в пределах 3,3-19,9%. По данным рентгено-дифракционного анализа серебро находится в нуль-валентном состоянии. Также как и в предыдущем изобретении особенностью данного является использование стабилизатора – природного полисахарида арабиногалактана, в качестве восстановителя ионов серебра до нуль-валентного состояния, а также одновременно в качестве реакционной дисперсионной среды.
Серебросодержащие производные сформированы в виде наноразмерных частиц 10-30 нм, наночастицы являются водорастворимыми, а также могут быть выделены в твердом виде, они агрегативно устойчивы и сохраняют свои свойства в течение 12 месяцев. Недостатки этих препаратов связаны с трудоемкими процедурами их химического получения, невысокой стабильностью и темной окраской водных дисперсий.
Наиболее близким к заявляемому изобретению являются мицеллярные растворы металлических наночастиц, в данном случае – серебра, проявляющие бактерицидные свойства при внесении в различные жидкофазные материалы (Вестник МГУ, сер. 2. ХИМИЯ. 2001. Т.42. №5. С.332). Растворы наночастиц серебра получаются по способу, описаному этими же авторами в патенте РФ 2147487. Способ основан на восстановлении ионов металлов в системе обратных мицелл и включает приготовление обратномицеллярной дисперсии восстановителя на основе раствора поверхностно-активного вещества в неполярном растворителе. В качестве восстановителя применяется вещество из группы флавоноидов, в качестве ПАВ используют бис-2-этилгексилсульфосукцинат (АОТ) натрия, а в качестве неполярного растворителя применяют предельные углеводороды. В подготовленный мицеллярный раствор восстановителя (система кверцетин – АОТ – углеводород) вводят водный раствор соли металла – AgNO3. Концентрация соли серебра составляла 3,0 мМ. Начало формирования наночастиц Ag обнаруживалось уже через 1-2 мин по появлению интенсивной окраски раствора. Исследование размеров и распределения образовавшихся частиц в мицеллярных растворах показало значительное преобладание (более 85%) малых однородных частиц серебра диаметром порядка не более 3 нм. Время жизни этих частиц составляло от нескольких месяцев до года.
Исследование вододисперсионной краски с полученными наночастицами серебра показало их антимикробную активность по отношению к различным видам бактерий (кишечной палочки, сальмонеллы, стафилококка и др.). Установлен выраженный биоцидный эффект в опытах на колифагах, моделирующих загрязнение поверхности наиболее распространенными вирусами (гриппа А и Б, гепатита А).
Технической задачей изобретения является создание высокоэффективного биоцидного средства на основе высокодисперсных частиц серебра в водно-органическом растворе. При этом раствор имеет высокую биологическую активность по отношению к микроорганизмам и сохраняет ее в течение длительного времени, причем в широком интервале температур, в том числе, после хранения при низких температурах и последующего размораживания.
Технической задачей изобретения является также создание простого и эффективного способа получения мицеллярных растворов наночастиц серебра в процессе их биохимического восстановления, обладающих бактерицидными свойствами и проявляющимися в биоцидности при обработке ими различных материалов.
Техническим результатом изобретения является получение препарата в виде долгоживущей биологически активной стабильной системы из наночастиц серебра в водно-органической среде за счет подобранного диапазона их дисперсности.
Поставленная задача достигается обработкой солей серебра аммиачным раствором с последующим восстановлением комплексных ионов и получением в результате мицеллярного раствора, включающего (в мас.%):
наночастицы серебра 0,01-0,11, поверхносто-активное вещество 3,0-10,0, вода 0,2-4,0, остальное – неполярный растворитель и
содержащего набор наночастиц серебра с распределением их по фракциям с определенными размерами следующим образом: частицы размером меньше 4 нм, с размерами 4-15 нм и размером выше 15 нм в отношении (мас.ч.) 1-2:15-20:0,5-1 соответственно.
В отличие от аналогов и прототипа биологическую и как прикладное следствие – биоцидную активность в заявленном растворе проявляют не ионы серебра и не его однородные незаряженные частицы размера порядка 3 нм и меньше, а полидисперсная система, состоящая из набора частиц с гаусовским распределением по размерам в его основной части в диапазоне 4-15 нм.
В предложенном способе получения заявленного биоцидного средства используют добавление раствора аммиака к растворам солей. Этот прием известен и используется во многих вышеприведенных работах для увеличения бактерицидных свойств препаратов как за счет антимикробных свойств самого аммиака или аммиачного раствора, так и его влияния на рН системы реагентов, растворимость солей и процессы комплексообразования ионов металлов в растворах. Однако в известном уровне техники не выявлены решения, использующие отличительный признак заявляемого способа, а именно протекание в образующихся под воздействием аммиака комплексах биохимического взаимодействия с ионами металлов. Этот процесс приводит к частичному или полному восстановлению ионов при взаимодействии с флавоноидами с последующим образованием дисперсий наночастиц, ответственных за проявление в своих растворах на уровне, по крайней мере, не меньшем, чем у ионов металлов биологической активности, сохраняющейся в течение длительного времени, в том числе при длительном хранении в условиях отрицательных температур.
Сущность изобретения состоит в том, что химическому взаимодействию водного раствора соли серебра с обратномицеллярной дисперсией органического восстановителя на основе флавоноидов в растворе ПАВ с неполярным растворителем предшествует обработка раствора соли серебра аммиачным раствором NH4OH, концентрации 10-20%. В результате происходящих в данной системе превращений («огрубления») получается неоднородная по размерам полидисперсия из наночастиц серебра в водно-органической среде. Полученные растворы наночастиц серебра неожиданно обладают не меньшей по сравнению с растворами из наночастиц, полученных из необработанных аммиаком солей, микробиологической и антивирусной активностью. При этом биологическая активность препаратов сохранялась в течение длительного срока – более 3-х лет в интервале температур: от +40°С до – 0°С, причем даже после периодического повторения циклов «замораживание (до – 20°С) – размораживание (до комнатной температуры)». Биоцидная активность препаратов на основе предлагаемых растворов подтверждена на широком классе микроорганизмов: микробах, вирусах, грибках.
Одним из возможных объяснений полученного эффекта является «архитектура» получаемых кластеров в стадии перехода от однородных частиц сферической формы, описанных известной «теорией Ми», близких по размерам ионам металлов, в образования сложной геометрической формы, состоящие помимо ионов одно- и двухвалетного серебра также из его незаряженных частиц, их различных комплексов, к тому же стабилизированными молекулами ПАВ. Подобные наночастицы, составляющие кластерные фракции, еще сравнительно небольших размеров (4-15 нм) могут легко взаимодействовать с микроорганизмами, являясь при этом стабильными источниками заряженных ионов, генерируемых в раствор. Вследствие сложной внешней формы, неровностей своей поверхности и однополярного заряда они практически не слипаются, что влияет на их температурную устойчивость во времени и отсутствие потери активности после размораживания при длительном хранении.
Способ получения заявленного раствора наноструктурных металлических частиц включает следующие основные операции: приготовление раствора поверхностно-активного вещества (ПАВ) в неполярном растворителе; приготовление обратномицеллярной дисперсии флавоноида (восстановителя); приготовление водного раствора соли металла; обработка водного раствора соли металла раствором аммиака; смешивание двух: органического и водного раствора и получение дисперсии наноструктурных металлических частиц в системе обратных мицелл.
В качестве растворителя используют различные предельные углеводороды (н-гексан, н-гептан, н-октан, н-декан, циклогексан, изооктан и др.).
Концентрацию соли металла в обратномицеллярной дисперсии варьируют в пределах от 0,05 до 0,5 моль в зависимости от поставленной прикладной задачи.
В качестве соли металла используют соли серебра, например нитрат, перхлорат, сульфат или ацетат. По предлагаемой технологии можно также использовать соли других металлов.
При концентрации соли металла, меньшей 0,05 М, не удается полностью осуществить реакцию восстановления, что снижает выход конечного продукта. Повышение концентрации сверх 0,5 М нецелесообразно, т.к. оно не сопровождается ростом выхода конечного продукта и приводит лишь к непроизводительным затратам солей металла.
Концентрация раствора NH4OH в воде изменяется от 10 до 20%. При выходе за эти пределы снижается биоактивность препарата.
Концентрация раствора ПАВ в предельном углеводороде варьируется в пределах 0.04-0.25 М. Выход за пределы указанного диапазона понижает стабильность получаемых наночастиц. В качестве ПАВ используют Aerosol ОТ (АОТ), возможно также использование n-(трет-октил) фенилового эфира полиэтиленгликоля (Triton Х-100).
Соотношение молярных концентраций воды и ПАВ в обратномицеллярной дисперсии соли металла (степень гидратации, w=(Н2O)/ПАВ) выбирают из диапазона от 0.9 до 12.
Повышение степени гидратации более 12 приводит к нежелательному увеличению среднего размера получаемых наноструктурных частиц. Уменьшение степени гидратации менее 0,9 нецелесообразно вследствие замедления формирования наночастиц.
Молярную концентрацию вещества из группы флавоноидов – кверцетина в обратномицеллярной дисперсии восстановителя выбирают из диапазона от 4,0×10-5 до 22×10-5 (М). Уменьшение молярной концентрации кверцетина менее 4,0×10-5 М не позволяет получить заметную концентрацию наночастиц.
Верхний предел концентрации флавоноидов определяется возможностью солюбилизировать эти соединения в предельных углеводородах при максимальной используемой концентрации ПАВ (0,25 М).
рН реакционной системы находится в пределах 8-12.
Общий состав раствора, мас.%: наночастиц серебра 0,01-0,11, поверхносто-активного вещества 3,0-10,0, воды 0,2-4,0, остальное – неполярный растворитель.
При выходе за эти параметры происходит либо значительная биологическая дезактивация препарата (для концентраций наночастиц серебра ниже 0,01 и ПАВ выше 10,0), либо он не образуется вообще (для концентрации ПАВ ниже 3,0). Диапазон концентрации воды определяется растворимостью солей серебра. Концентрация наночастиц серебра выше 0,11 приводит к перерасходу металла, заметно не влияя на биоактивность раствора, а при длительном хранении к коагуляции частиц и их выпадению в осадок.
Контроль за формированием наночастиц и оценку их стабильности осуществляют спектрофотометрически по изменениям основных характеристик спектров оптического поглощения (положения максимума полосы поглощения, оптической плотности в максимуме и полуширины полосы).
Примеры опытной реализации изобретения:
Приготовление мицеллярного раствора наночастиц серебра.
1. Готовят раствор поверхностно-активного вещества: АОТ (диоктилсульфосукцинат натрия (бис (2-этилгексил) сульфосукцинат натрия) (CAS №577-11-7) чистота 96% фирмы Sigma-Aldrich (по каталогу 2005 г. № D 201170) или Acros (№11710) в изооктане 0,06 моль/литр.
2. Добавляют восстановитель: кверцетин по каталогу (№174071000) фирмы Acros Organics(USA) из расчета 200-250 мг на 1 литр раствора АОТ в изооктане.
3. Готовят водный раствор 0,25 М AgNO3 азотнокислое серебро марки ОСЧ ГОСТ 1277-75 на биводе (вода дистиллированная, двукратной перегонки ГОСТ 6709-72).
4. Берут AgNO3 0,25М и добавляют 20% р-р аммиака марки ОСЧ.
5. Добавляют к р-ру (кверцетин/АОТ/изооктан), взятому в количестве 1 литр 10 мл AgNO3 0,25М (обработанных аммиаком).
Все действия необходимо проводить в банках темного стекла, плотно закрывая их крышкой с прокладкой при интенсивном встряхивании.
Жидкость окрашивается в темно-бурый свет в течение нескольких минут – начало процесса образования наночастиц серебра. Характерный пик на в районе 440 нм возрастает от 1 до 5 раз в течение от одного часа до нескольких дней. После прекращения роста количества наночастиц серебра в мицеллярном растворе препарат готов к применению.
Общий состав препарата по примеру 1: Ag/Н2O/ПАВ/изооктан в (мас.%) 0,03/1,36/4,09/94,52 и в следовых количествах также присутствовали кверцетин и аммиак.
В примере 2 по сравнению с прим.1 концентрация соли серебра соответствовала 0,1М; концентрация NH4OH – 15%. Общий состав: Ag/Н2O/ПАВ/изооктан в (мас.%) 0,02/1,36/4,09/94,53.
В примере 3 концентрация соли серебра – 0,1М
концентрация NH4ОН – 10%. Общий состав: Ag/Н2O/ПАВ/изооктан в (мас.%) 0,02/1,36/4,09/94,53
В примере 4 концентрация соли серебра – 0,05М, концентрация NH4OH – 10%. Общий состав: Ag/Н2O/ПАВ/изооктан в (мас.%) 0,01/1,36/4,09/91,53.
В примере 5 концентрация соли серебра – 0,05М, концентрация NH4OH – 5%. Общий состав: Ag/Н2O/ПАВ/изооктан в (мас.%) 0,01/1,36/4,09/91,53.
В примере 6, концентрация соли серебра – 0,5М, концентрация NH4OH – 25%. Общий состав: Ag/Н2O/ПАВ/изооктан в (мас.%) 0,12/1,36/4,09/94,43.
В примере 7 неполярный растворитель – циклогексан, молярная концентрация восстановителя-кверцетина равнялась 4×10-5, АОТ – 0,04 М, перхлората серебра – 0,05М, был взят 10% раствор аммиака. Общий состав Ag/Н2О/ПАВ/циклогексан (мас.%) 0,01/1,36/3,07/96,79.
В примере 8 неполярный растворитель – гексан, молярная концентрация восстановителя-кверцетина равнялась 22×10-5, АОТ – 0,2-0,25М, азотнокислой соли серебра – 0,5М, был взят 20% раствор аммиака. Общий состав Ag/Н2O/ПАВ/н-гексан (мас.%) 0,11/1,36/10,0/88,53.
По составу и спектральным характеристикам раствор соответствует показателям, приведенным в таблицах 1и 2.
| Табл. 1 |
| Состав препарата |
| № П.п. |
Наименование характеристики |
Норма по ТУ |
Метод испытаний |
| 1. |
Содержание ПАВ, моль/дм3 |
0,04-0,08 |
Гравиметрический |
| 2. |
Содержание наночастиц, моль/дм3 |
(1-5)·10-3 |
Спектрофотометрический |
| 3. |
Содержание изооктана эталонного, % |
91-95 |
Измерение плотности раствора |
| Табл. 2 |
| Спектральные характеристики препарата. |
| №№ П.п. |
Наименование характеристики |
Норма по ТУ |
Метод измерений |
| 1. |
Положение основной полосы поглощения, нм |
420-440 |
Адсорбционная микроскопия (Источник: Пешкова В.М., Громова М.И., Методы абсорбционной спектроскопии в аналитической химии, М., Высшая школа, 1976., 280. с |
| 2. |
Оптическая плотность, опт. Ед. |
не менее 1,0 |
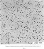
Распределение наночастиц серебра по размерам было получено при помощи программы анализа оптических изображений UTHSCSA Image Tool 3.00.
Предварительное редактирование микрофотографий было проведено с использованием программы Photoshop 6.
На микрофотографии (Фиг.1) обработано 1313 объектов. Выборку следует считать представительной. Средняя удлиненность наночастиц (отношение большого размера частицы к малому) для основного диапазона частиц от 4 до 15 нм составляет величину 1,2-1,4, тогда как для частиц «закрылков»: (меньше 4 нм) эта величина 1,0-1,1; а для (более 15 нм) эта величина выше 1,6. На гистограммах представлено распределение частиц по размерам, которое носит выраженный гаусовский характер и может быть обработаны соответствующими стат.-математическими методами. Рассчитанное по микрофотографиям распределение частиц по примеру 1: частицы менее 4 нм, от 4 до 15 нм, более 15 нм соотносились как 1,5:18:0,5.
Рассчитанное по микрофотографиям распределение частиц по размерам: менее 4 нм/ 4-15 нм/ более 15 нм составляло для примеров 2-6 соответственно соотношение, прим.2: 1,0:16:0,6; прим.3: 1,0:19:1,0; прим.4: 1,5:16:0,5, прим.5: 2,0:14:1,0; прим.6: 1,0:18:1,5.
Гистограммы для примеров 1 (фиг.2) – 8 показали, что распределение наночастиц серебра в мицеллярном растворе общего состава, включающего (мас.%)
наночастицы серебра 0,01-0,11, поверхностно-активное вещество 3,0-10,0, вода 0,2-4,0, а остальное – неполярный растворитель, осуществляется по размерам следующим образом:
частицы размером меньше 4 нм, с размерами 4-15 нм и
размером выше 15 нм в отношении 1-2:15-20:0,5-1 соответственно.
Образующийся состав может быть переведен полностью по специальной методике в водную фазу. Раствор может быть разведен в 70-100 раз. Предлагаемый раствор может быть использован в качестве биоцидного препарата при любой концентрации в мицеллярном растворе, подобранной для конкретной практической задачи.
Биологические испытания препарата были проведены в двух вариантах:
а) наложением пропитанных раствором с наночастицами серебра дисков из фильтровальной бумаги на поверхность питательной среды, которую предварительно «засевали» взвесью микроорганизмов в концентрациях 108, 106, 104 и 102 КОЕ/мл;
б) культивированием микроорганизмов, взятых в концентрации 102 и 104 КОЕ/мл, в растворе в течение 24 часов.
При изучении антимикробных свойств использовали указания СП 3.3.2.015-94, Методические указания по организации и проведению комплекса санитарно-противоэпидемических мероприятий в асептических отделениях и палатах. МЗ РФ от 30.04.86, №28-9/15, Методические указания по микробиологическому контролю в аптеках. МЗ РФ от 29.12.84, №3182-84, Методические указания по эпидемиологическому надзору за внутрибольничными инфекциями. МЗ СССР от 2.12.87, №28-6/34, Руководством по общей и санитарной микробиологии. Москва «Медицина», 2004 год, Клиническая лабораторная аналитика, том IV, Москва – Агат-Мед, 2003 год. ГОСТ 17.2.4.02-81 «Охрана природы. Атмосфера. Общие требования к методам определения загрязняющих веществ», ГОСТ Р 8.563-96 «Методика выполнения измерений».
| Табл.3 |
| РЕЗУЛЬТАТЫ ОПРЕДЕЛЕНИЯ АНТИМИКРОБНОЙ АКТИВНОСТИ |
| Микроорганизм |
Концентрация в КОЕ/мл 108 |
Концентрация в КОЕ/мл 106 |
Концентрация в КОЕ/мл 104 |
Концентрация в КОЕ/мл 102 |
| E.coli |
3 |
4 |
16 |
24 |
| S. aureus |
2 |
3 |
12 |
18 |
| Klebsiella spp. |
3 |
4 |
14 |
20 |
| Enterobacter spp. |
6 |
12 |
24 |
32 |
| Acinetobacter spp. |
4 |
8 |
18 |
26 |
| Candida albicans |
4 |
10 |
20 |
28 |
| Pseudomonas aeruginisae |
4 |
8 |
14 |
18 |
| Salmonella spp. |
3 |
6 |
12 |
16 |
Учет результатов производили через 24 часа по отсутствию роста тест-микроорганизмов (в мм от края диска, пропитанного в течение 20 минут раствором, содержащим наночастицы серебра), по Методическим Указаниям исследуемый препарат обладает бактерицидными свойствами, если зона отсутствия роста составляет 4 и более мм. Зона отсутствия роста от 1 до 3 мм означает бактериостатическое воздействие на тест-микроорганизмы.
Таким образом, заявленный раствор с наночастицами серебра обладает бактерицидным действием в отношении концентраций тест-микроорганизмов 104 и 102 КОЕ;
бактерицидным действием по отношению к энтеробактеру (концентрации с 102 до 108); также бактерицидное действие выражено на все тест-микроорганизмы, кроме S.aureus, взятые в концентрации 106 КОЕ. При использованной концентрации микробов 108 бактерицидное действие оказано на Acinetobacter spp., Candida albicans, Pseudomonas aeruginisae. Бактериостатическое воздействие при дозе 108 КОЕ оказано на E.coli, S.aureus, Klebsiella pneumoniae, Salmonella spp.
Таким образом, исследованный раствор проявил биологическое действие по отношению ко всем испытуемым тест-микроорганизмам, взятым в дозах 102, 104, 106, являясь универсальным препаратом биомедицинского назначения. При этом для ряда микроорганизмов биологическая активность заявленного раствора (Табл.4) даже возрастает по сравнению с чисто ионными растворами серебра.
| Табл.4 |
| Результаты определения антибактериальной активности препарата, не обработанного и обработанного 10% раствором NH4OH. |
| |
Конц. В КОЕ/мл 108 |
Конц. В КОЕ/мл 106 |
Конц. В КОЕ/мл 104 |
Конц. В КОЕ/мл 102 |
| Микроорганизм |
Без добавл. NH4OH |
С добавл. NH4OH |
Без добавл. NH4OH |
С добавл NH4OH |
Без добавл. NH4OH |
С добавл. NH4OH |
Бездобавл. NH4OH |
С добавл. NH4OH |
| Pseudomonas aeruginisae |
2 |
больше 4 |
3 |
8 |
5 |
14 |
8 |
18 |
| Acinetobacter spp. |
1 |
4 |
2 |
9 |
6 |
18 |
9 |
26 |
| Enterobacter spp. |
3 |
6 |
4 |
12 |
6 |
24 |
8 |
32 |
Наибольшую эффективность растворам придает обработка солей серебра в заявляемых условиях при их молярной концентрации 0,05-0,5 (моль/л) водным раствором аммиака при концентрации 10-20 мас.% (Табл.5).
| Табл.5 |
| Вирулентность микроорганизмов и ее зависимость от концентрации аммиака, взятого для обработки соли Ag |
| Конц. в КОЕ/мл·106 |
He обработ. NH4OH |
Обработанные NH4OH |
| 5% |
10% |
15% |
20% |
25% |
| Pseudomonas aeruginisae |
1 |
2 |
6 |
8 |
7 |
6 |
| Acinetobacter spp. |
2 |
3 |
7 |
9 |
8 |
7 |
| Enterobacter spp. |
3 |
4 |
11 |
12 |
11 |
9 |
Проведенные испытания вирулентности микроорганизмов в зависимости от соотношения размеров наночастиц в заявленном растворе (Табл.6) показали их наибольшую биоактивность в пределах следующих соотношений: размером менее 4 нм, размером от 4 до 15 нм и размером более 15 нм, как 1,0-2,0:15-20:0,5-1,0 в мицеллярном растворе.
| Табл.6 |
| Зависимость вирулентности микроорганизмов от распределения наночастиц серебра при различных соотношениях их размеров |
| Конц. в КОЕ/мл·106 |
Биоактивность раствора |
| Пример 1 |
Пример 2 |
Пример 3 |
Пример 4 |
Пример 5 |
Пример 6 |
| Pseudomonas aeruginisae |
8* |
8 |
7 |
5 |
4 |
6 |
| Acinetobacter spp. |
9 |
9 |
8 |
5 |
3 |
7 |
| Enterobacter spp. |
12 |
12 |
11 |
6 |
3 |
9 |
| * – Приведенные значения – зоны подавления роста микроорганизмов |
Были проведены опыты по определению биоцидной активности заявляемого препарата как основной прикладной цели изобретения.
Для этого обрабатывались либо пропиткой вглубь, либо по площади материалы различной физической структуры и химических свойств, используемые в различных областях хозяйственной деятельности, и исследовалась их антимикробная, бактерицидная и антигрибковая активность. Результаты отражены в табл.7.
| Табл.7 |
| Биоцидность препарата. Зависимость зоны подавления роста (активности) микроорганизмов (в мм) наночастицами серебра в обработанных материалах |
| Микроорганизм конц. КОЕ/мл·104 |
Контроль (образцы, не обработанные наночастицами) |
Образцы материалов, обработанных наночастицами |
Антибиоактивность «чистого» раствора наночастиц Ag |
| Образец А |
Образец Б |
Образец В |
Образец Г |
| 1 |
2 |
1 |
2 |
1 |
2 |
1 |
2 |
| |
|
|
|
|
|
|
|
|
|
|
| Staphylococcus aureus (АТСС 6538) |
0 |
3 |
5 |
3 |
5 |
3 |
5 |
5 |
7 |
18 |
| E.coli (АТСС 11229) |
0 |
3 |
6 |
4 |
6 |
4 |
7 |
6 |
8 |
24 |
| Pseudomona saeruginisae (АТСС 15442) |
0 |
3 |
4 |
3 |
5 |
3 |
5 |
5 |
7 |
18 |
| Candida albicans (АТСС 10231) |
0 |
5 |
7 |
5 |
8 |
7 |
9 |
7 |
10 |
28 |
Образец А – Полимерная пленка, нанесенная на резину сосковою для доильного аппарата «Волга 686 -1» (из резиновой смеси ВА-1 Курского завода РТИ).
1. Содержание наночастиц серебра в расчете на Ag+ – 0,0381 мас.%
2. Содержание наночастиц серебра в расчете на Ag+ – 0,0664 мас.%
Образец Б – Полиэфирная ткань арт.01с43 – KB, МОГОТЕКС, г.Могилев
1. Содержание наночастиц серебра в расчете на Ag+ – 0,01 г/м2
2. Содержание наночастиц серебра в расчете на Ag+ – 0,02 г/м2
Образец В – Шерстяная ткань «Гамелия» арт.С265МА, ЗАО «Московская тонкосуконная фабрика им. Петра Алексеева»
1. Содержание наночастиц серебра в расчете на Ag+ – 0,028 г/м2
2. Содержание наночастиц серебра в расчете на Ag+ – 0,056 г/м2
Образец Г – Картон фильтровальный КФМ ГОСТ 12290-89, используемый в производстве соков и виноделии.
1. Содержание наночастиц серебра в расчете на Ag+ – 0,063 мас.%
2. Содержание наночастиц серебра в расчете на Ag+ – 0,097 мас.%
Полученные данные показывают, что по сравнению с не обработанным состоянием (контрольные опыты) обработанные материалы приобрели значительную биоцидность, соизмеримую с биоактивностью «чистого» раствора наночастиц Ag. Биоцидность материалов сохранялась практически неизменной при температуре 40°С в течение всего времени опытного наблюдения, т.е. не менее шести месяцев, и далее при температуре 25°С в течение года для каждого опыта.
Заявленные растворы препарата обладают уникальными свойствами, сохраняя свою биологическую активность не только при работе при повышенных температурах (40°C) в течение месяцев, но, главное, при выдержке (хранении) в условиях отрицательных температур (от – 5 до – 20°С) в течение двух месяцев и дальнейшей работоспособности при возвращении к нормальной температуре (Табл.8).
| Табл.8 |
Вирулентность (по трем видам микроорганизмов) образцов раствора, выдержанных при различных t°, в течение двух месяцев и приведенных затем к рабочей температуре ( 25°С) |
| Конц в КОЕ/мл·106 |
40° |
30° |
20° |
10° |
0° |
-5° |
-10° |
-20° |
| Pseudomonas aeruginisae |
7 |
8 |
8 |
8 |
8 |
7 |
7 |
6 |
| Acinetobacter spp. |
7 |
8 |
8 |
8 |
8 |
7 |
7 |
6 |
| Enterobacter spp. |
11 |
12 |
12 |
12 |
12 |
10 |
10 |
8 |
При этом высокая биоактивность наночастиц сохранялась не менее трех лет (Фиг.3) у составов по отношению к Pseudomonas aeruginisae по прим. 1-3 и постепенно теряла активность после года для составов по примерам 5-6.
Формула изобретения
1. Биоцидный раствор, включающий, мас.%:
| наночастицы серебра |
0,01-0,11 |
| поверхностно-активное вещество |
3,0-10,0 |
| вода |
2,0-4,0 |
| неполярный растворитель |
остальное, |
с распределением наночастиц серебра по размерам следующим образом: частицы размером меньше 4 нм, с размером 4-15 нм и размером выше 15 нм в отношении 1-2:5-20:0,5-1 соответственно.
2. Способ получения растворов по п.1 путем восстановления ионов серебра в системе обратных мицелл, включающий приготовление мицеллярного раствора поверхностно-активного вещества в неполярном растворителе с добавлением в него восстанавливающего агента, приготовление водного раствора соли серебра и последующее смешение растворов, отличающийся тем, что водный раствор соли серебра концентрации от 0,05 до 0,5М предварительно обрабатывают раствором аммиака.
3. Способ получения биоцидного раствора по п.2, отличающийся тем, что в качестве неполярного растворителя применяют н-гексан, или н-гептан, или н-октан, или н-декан, или циклогексан, или изооктан, в качестве поверхностно-активного вещества выбирают диоктилсульфосукцинат натрия (бис(2-этилгексил)сульфосукцинат натрия), причем молярную концентрацию ПАВ выбирают из диапазона (М) от 0,04 до 0,25; в качестве восстанавливающего агента выбирают вещества из группы флавоноидов, восстанавливающего агента выбирают вещества из группы флавоноидов, например кверцетин, с молярной концентрацией в диапазоне (М) от 4·10-5 до 22·10-5; а концентрацию аммиачного раствора выбирают в диапазоне 10-20 мас.%.
РИСУНКИ
|
|